Mit der Siedlungsentwässerung prägen wir massgeblich unseren Lebensraum von heute und morgen.
Aktuelle Herausforderungen, wie die Klimaveränderung verlangen nach neuen Denkweisen und innovativen Lösungen im Umgang mit dem Wasser.
Dank unserer umfassenden Erfahrung unterstützen wir Sie, zukunftsweisende und praxistaugliche Konzepte zu entwickeln und auch umzusetzen.
Unsere Dienstleistungen sind:
- Generelle Entwässerungsplanung auf Stufe Gemeinde und Verband
Die Entwässerungsplanung ist das langfristige Planungswerkzeug für die Siedlungswasserwirtschaft. Wir verstehen dieses Werkzeug als Basis für einen verantwortungsvollen Umgang mit den Gewässern, aber auch mit der kostenintensiven Wasserinfrastruktur. Dabei haben wir das Gesamtsystem Kanalnetz-ARA-Gewässer stets im Auge und machen die Siedlungsentwässerung fit für die Zukunft.
- Bewirtschaftung von Abwassersystemen
Abwasserinfrastrukturen sind es wert, möglich gut genutzt zu werden. Unsere Erfahrung zeigt, dass diese Anlagen meist noch einiges mehr an Gewässerschutz können und dabei auch die Betriebssicherheit erhöht wird – ein klassisches Win-win. Wir unterstützen Sie hier umfassend von der Potenzialanalyse bis zur Erfolgskontrolle.
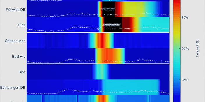
- Messkampagnen und Erfolgskontrollen
Die Bevölkerung investiert grosse Summen in den Werterhalt und in den Gewässerschutz.
Verbessert sich die Situation im Gewässer tatsächlich? Wirken die Fremdwasserreduktionsmassnamen? Setzen wir die richtigen Prioritäten? Wie gut sind die erarbeiteten Modelle und Berechnungen? Wir erarbeiten für solche und ähnliche Fragestellungen Messkonzepte und setzen diese um. Das führt zu besseren Entscheidungen und erhöht die Akzeptanz von Massnahmen.
- Strategische Infrastrukturplanung
Die Weiterentwicklung der Infrastruktur bedingt eine sektorübergreifende Sicht. Damit sinken die langfristigen Kosten und es steigt das Verständnis für Baumassnahmen bei der Bevölkerung. Wir führen die unterschiedlichen Planungen der verschiedenen Werke zusammen und erschaffen daraus eine koordinierte Infrastrukturplanung mit handlichen Führungsinstrumenten. Einfach in der Umsetzung – stark in der Wirkung.
- Wegleitungen und Richtlinien
Zukunftsfähige und praxistaugliche Vollzugsinstrumente sind ein wichtiger Katalysator der Umweltgesetzgebung. Wir wissen, wovon wir sprechen, denn wir sind sowohl in strategischen als auch konkret technischen Projekten unterwegs. Diese Expertise fliesst in unsere Arbeit für Verbände und die öffentliche Hand ein und macht Vollzugshilfen fit für die Praxis.